釣果情報
釣果情報
2025年10月10日(金)
天気
晴れのちくもり
気温
24 / 17 ℃
水温
上 22.5 ℃ 下 22.5 ℃
風向き
南東
風速
4.0~5.0 m/s
潮
中潮
満潮
06:59 / 18:07
干潮
00:29 / 12:38
警報
なし
注意報
なし
強くはありませんでしたが、北から西、東寄りと目まぐるしく風が変わる桟橋でした。
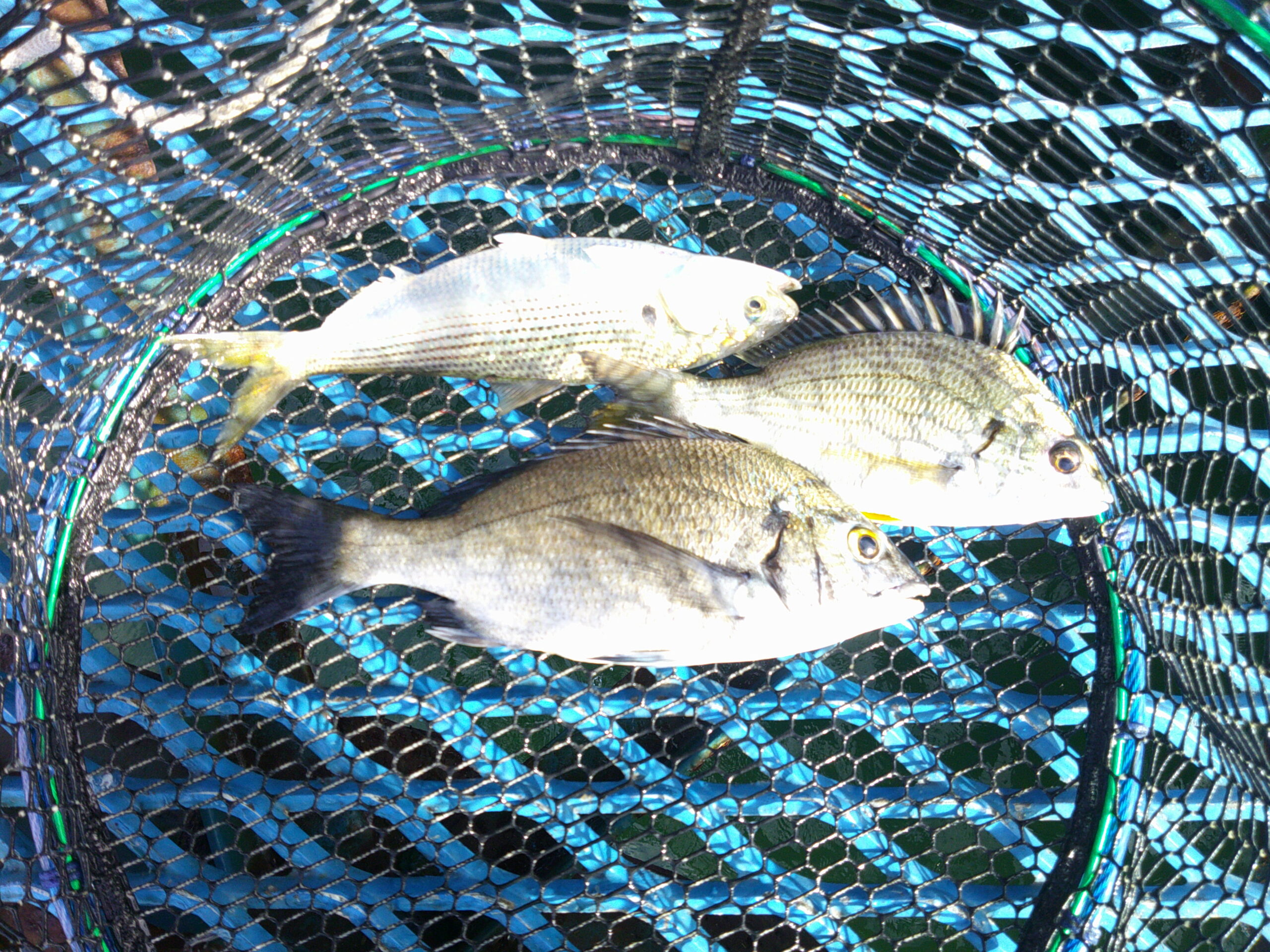
釣果はアジ・キス・クロダイ・セイゴ・フッコ・ダツ・メジナ・コノシロ・キビレ・イナダ等が釣れていました。
本日の入場者数は210名様でした。ありがとうございました。
明日は土曜日のためご使用できる釣竿は、お一人様1本とさせていただきます。
また、混雑状況により危険防止のため投げ釣りは、アンダーキャスト(下手投げ)にてお願いいたします。
投げ釣りの規制が無い場合でも後方および左右の安全確認を十分に行ってください。
明日も皆様のご来場をお待ちしております。
【ご注意】
![]() |
最近、毎日のようにアイゴが釣り上げられております。 ヒレのトゲに強い毒を持つため、釣れた場合は大変危険ですので十分な注意をお願いいたします!! |
10月26日(日)にオリジナルメーカー杯釣り大会を開催致します。
詳しくはこちらをご覧ください。
【お知らせ】
【1】8月4日及び10月2日より塗装工事及び潜水作業の為、千葉側先端および木更津側先端を封鎖し、桟橋の入場定員を200名様とさせて頂きます。
【2】1階トイレの改修工事中です。
9月1日より、1階トイレの改装工事を実施しております。
大変、ご不便をおかけし申し訳ございませんが、宜しくお願い致します。
釣果
33.0cm~42.0cm
合計 7匹
24.0cm~35.0cm
合計 7匹
40.0cm
合計 1匹
14.0cm~17.0cm
合計 13匹
10.0cm~16.0cm
合計 100匹
65.0cm
合計 1匹
24.0cm~25.0cm
合計 3匹
25.0cm~28.0cm
合計 3匹
25.0cm~26.0cm
合計 15匹
47.0cm
合計 1匹
28.0cm~29.0cm
合計 10匹
桟橋 木更津側
桟橋 千葉側
クロダイ
セイゴ
フッコ
キス
アジ
ダツ
メジナ
キビレ
コノシロ
イナダ
